If you are looking for a second opinion or need to talk to a specialist, contact State Avenue Veterinary Clinic to schedule a consultation and discuss whether orthopedic surgery is the right option for your pet.
Orthopedic ProceduresDigital Empathy2025-10-09T10:45:25+00:00
Orthopedic Procedures
Keeping the pets of Dickinson, ND active and healthy.
Request Appointment
Call to Schedule a Consultation
Advanced Surgical Care
State Ave Veterinary Clinic is proud to be one of the few general practice clinics in western ND to be able to offer advanced diagnostic and surgical expertise for orthopedic problems.
If you are looking for a second opinion or need to talk to a specialist, contact State Avenue Veterinary Clinic to schedule a consultation and discuss whether orthopedic surgery is the right option for your pet.
add
Conditions We Treat
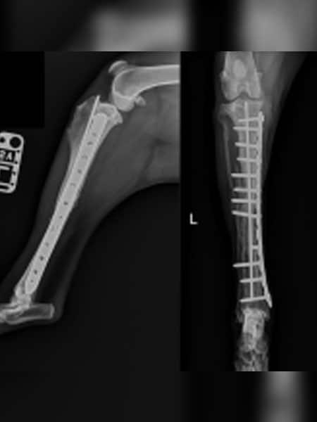
Fracture Repair
We are equipped and skilled to be able to choose the best methods to fix broken bones, including Plates and Screws, External Fixators, Pins and Wires.
TPLOs
TPLOs and lateral suture for torn Cranial Cruciate ligaments in the knee.
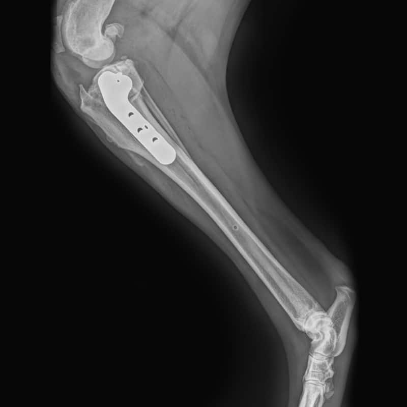
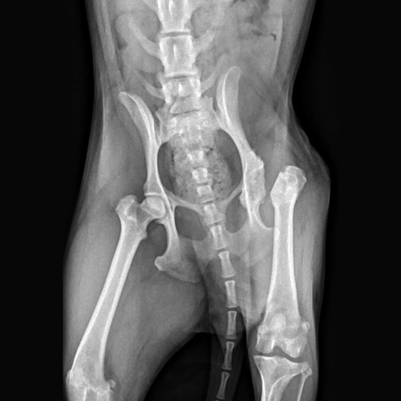
Femoral Head Osteotomies
Surgically removing the head and neck of the femur to alleviate pain and improve mobility in pets who suffer from severe hip joint disease.
Medial Patella Ligament
For those kneecaps that keep sliding off the femur.
Arthritis Management
We couple traditional pharmaceutical treatments with a multimodal approach, including Joint Injections and Regenerative Medicine. This also includes Stem Cell Injections, Platelet-Rich Plasma Injections and Physical Rehabilitation.
Tendon/Ligament Repair
Torn Achilles tendons and collateral ligament replacement.
Arthroscopy
We have advanced diagnostic and arthroscopic skills to help fix elbow dysplasia, medial coronoid disease, ununited anconeal process, and OCDs.
If you are looking for a second opinion or need to talk to a specialist, contact State Avenue Veterinary Clinic to schedule a consultation and discuss whether orthopedic surgery is the right option for your pet.
